
Content of the article
San Juan, Puerto -Riko -The authorities in the Bahamas were closed by most schools on Monday after mandatory evacuation for some islands on the archipelago, since the Tropical Storm Nimeld had to throw heavy rain and unleash the flood on the Northern Caribbean basin.
Advertising 2
Content of the article
The storm was located about 10 miles (15 kilometers) to the south -east of the Bolshoi Island of Abako, which is still restored from the hurricane Dorian after it crashed in the part of the Bahamas as a destructive hurricane of category 5 in 2019.
Content of the article
Recommended video
Content of the article
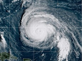
Imelda has the most stable winds at a speed of 50 miles per hour (85 km/h) and moved to the north at a speed of 9 miles per hour (15 km/h). According to the National Center for Hurricanes in Miami, he became a hurricane and rotates to the open ocean.
The warning about the tropical storm acted for parts of the North -West Bahamas, including Eleuter, Abakon, Grand Bagama Island and surrounding keys. In some areas, interruptions in electricity were reported when the authorities close state institutions on the injured islands.
Content of the article
Advertising 3
Content of the article
It was expected that Imelda would fall by 4-8 inches (from 10 to 20 centimeters) of rain in the north -west of the Bahamas to Tuesday and from 2 to 4 inches (from 5 to 10 centimeters) throughout the Eastern Cuba.
Meanwhile, Hurricane Hamberto beat in open waters nearby, which, according to weather forecasters, would force Imeld to suddenly turn east of the northeast, away from the southeastern coast of the United States.
“This is really what will save the United States from really to see catastrophic precipitation,” said Alex Dasilva, a hurricane expert Accuweather, a private company to forecast weather in the United States.
According to Dasilva, when two storms circle with each other, they create the so -called Fujiwhare effect, which means that they begin to rotate counterclockwise.
Advertising 4
Content of the article
“In the overall standings in the Atlantic basin, these are very rare phenomena,” he said.
Carolina Brexia for Rains Imelda
Gumberto was a storm of 4 categories with a maximum stable wind of 145 miles per hour (230 km/h). It was located about 365 miles (585 kilometers) south-south-west from Bermuda, moving to the north-west at a speed of 14 miles per hour (22 km/h). For the Bermuda Islands there were a watch of a tropical storm.
“This will not be a threat to the United States,” Dasilva said.
Nevertheless, it was expected that the moisture from Nichelda would rise up the Carolins, with the forecast of the rain until morning on Tuesday. The most heavy rains will be limited by the coastal line, from Charleston in South Carolin to Wilmington in North Carolina, while Charlotte and roles can only be obtained from 1 to 2 inches (from 3 to 5 centimeters) of rain, he said.
Advertising 5
Content of the article
Dasilva said that the Carolins could see gusts of wind 40 miles per hour, but only along the coastline, as he warned of dangerous surf and severe rupture all week.
The governor of South Carolina Henry McMaster said that the authorities were preparing a search and rescue teams on weekends.
Meanwhile, in North Carolin, Governor Josh Stein announced a state of emergency before Ilda formed.
'Double blow to Bermuda Islands'
When the tropical storm Imelda and Hurricane Hamberto circled in open waters, the authorities of the Bermuda Islands were preparing for two bowls.
“It will be a double blow to the Bermuda Islands, Gumberto at first and Imelda, following the proximity,” and Silva said.
He said that Imelda could pass within 15 miles (24 kilometers) from Bermuda, since in the near future the Atlantic season is the fourth hurricane, while Humberto will charge past a longer distance.
Michael Wix, the Minister of National Security of Bermuda, urged residents to prepare, warning that this season there were “some close misses of relatively strong storms.”
“Hurricane Hamberto is a dangerous storm, and with another system developing in our south, each household in Bermuda should take the necessary steps that need to be prepared,” he said.
Flights to the islands and from the islands on Bagams were canceled, and airports are expected after improving weather conditions.
Content of the article






